


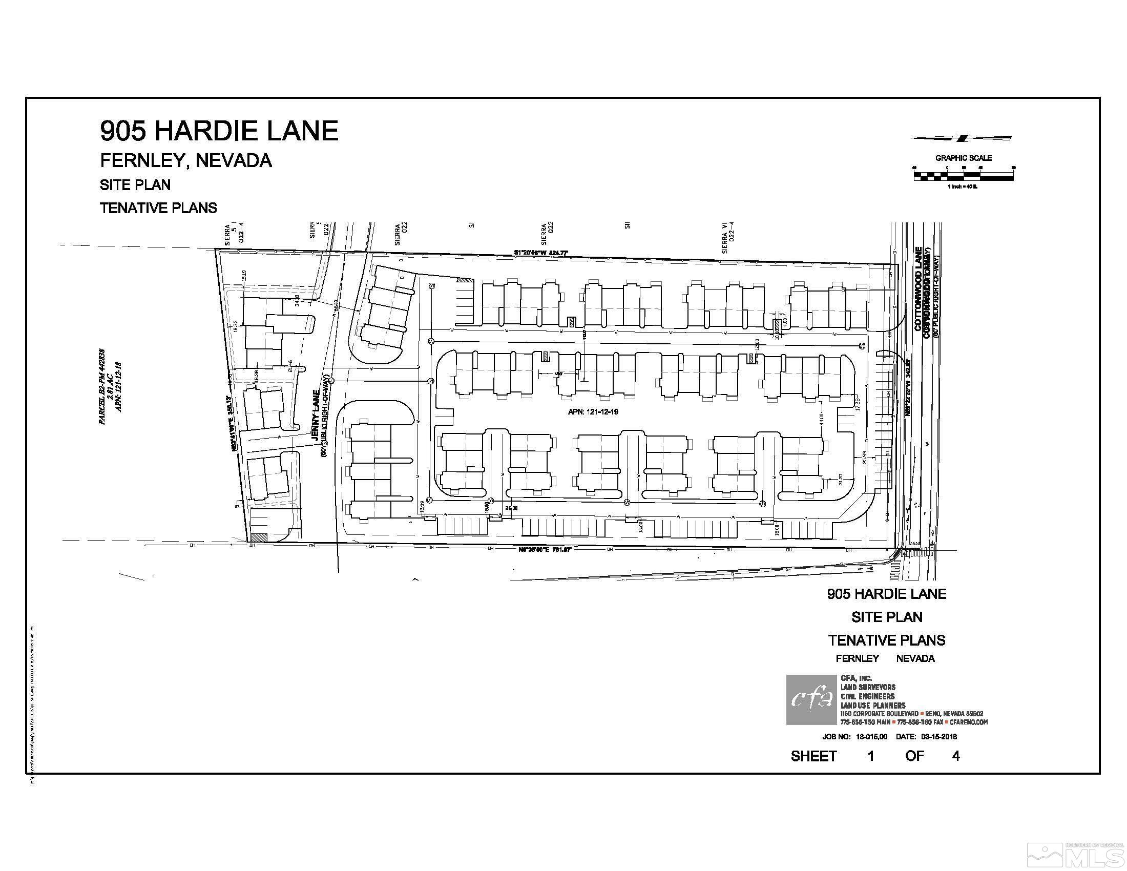
66-unit Townhome site located in the heart of Fernley adjacent to the community pool and walking distance to schools and shopping. List price includes finished lots: curb, gutter, sidewalks, lights, electrical, gas, sewer, water, water meters and paving to include driveways for 66 units. Unit breakdown consists of 3 Duplexes: 8 Triplexes and 9 Fourplex's. Fernley has a shortage of housing and is located in a booming industrial region. Approved floor plans can be provided by separate agreement.
| a year ago | Price changed to $5,500,000 | |
| a year ago | Listing updated with changes from the MLS® | |
| 3 years ago | Status changed to Active | |
| 3 years ago | Listing first seen on site |
Compare listings
Compare
Did you know? You can invite friends and family to your search. They can join your search, rate and discuss listings with you.